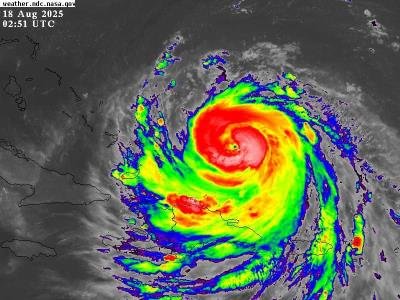
La directora del Instituto Dominicano de Meteorología (Indomet), Gloria Ceballos, informó la noche de este domingo que el huracán Erin volvió a intensificar a categoría 4.”Vientos máximos sostenidos 215 kilómetros por hora (kph); moviéndose hacia el noroeste a 19 kph. Continúan los efectos indirectos de este sistema sobre el litoral norte y noreste de la geografía nacional. Oleaje peligroso en la costa atlántica”, escribió en su cuenta X.En su informe, el Indomet refirió que el fenómeno está generando olas de hasta 12 pies de altura sobre el litoral costero atlántico, “con un aumento de los aguaceros entre moderados a fuertes, tormentas eléctricas y fuertes ráfagas de viento.Explicó que esas condiciones se producirán, especialmente, sobre las provincias bajo los niveles de aviso meteorológico. Entre ellas citó a La Altagracia, Hato Mayor, Samaná, María Trinidad Sánchez, Espaillat, Puerto Plata, Montecristi, La Romana, Monte Plata, San Pedro de Macorís, Santo Domingo, San Cristóbal, Peravia, Sánchez Ramírez, Monseñor Nouel, Santiago, Santiago Rodríguez, Duarte, Hermanas Mirabal, Barahona y Azua. RELACIONADAS Clima COE dice que el país sigue bajo los efectos del huracán Erin y mantiene alertas Puerto Rico e Islas VírgenesEl Centro Nacional de Huracanes (NHC, por sus siglas en inglés) informó que debido al huracán Erin fuertes lluvias persistirían en Puerto Rico y las Islas Vírgenes hasta esta noche, pero se espera que disminuyan para este lunes. Y que se prevén inundaciones repentinas e urbanas localmente considerables, junto con posibles deslizamientos de tierra.Además, informó que se espera que Erin produzca oleaje y corrientes marinas que amenazan la vida a lo largo de las playas de las Bahamas, gran parte de la costa este de los EE. UU., las Bermudas y el Atlántico de Canadá durante los próximos días.Asimismo, el NHC sugirió que Carolina del Norte y las Bermudas deben monitorear el progreso de Erin ya que hay un riesgo de vientos fuertes asociados con las bandas de lluvia externas durante la parte media de la semana. RELACIONADAS Clima Los efectos del huracán Erin fueron mínimos en República Dominicana




